Archive Record
Images
Additional Images [25]
Metadata
Collection |
Map Collection |
Catalog Number |
R2015.FIC.015 |
Object Name |
Map |
Title |
1926 Sanborn Map of Estes Park |
Scope & Content |
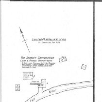
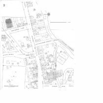
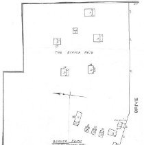
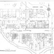
copies of individual property maps from 1926 Sanborn map of Estes Park, includes the following properties: YMCA of the Rockies The Lantern, Dining and Amusement Hall The Crags The Columbine Lodge The Baldpate Inn The T.F. Schwartz Lumber Company Stead's Ranch and Hotel The Stanley Corporation Light and Power Department The Stanley Hotel St. Walters Catholic Church Rocky Mountain Lodges Inc., Estes Park Chalets Moraine Lodge Loveland Heights Longs Peak Inn The Lewiston Hotel The Lester Hotel Horseshoe Inn Fall River Lodge Estes Park Golf and Country Club Elkhorn Lodge Cascade Lodge Camp Olympus The Brinwood Hotel The Big Thompson Hotel Berthoud Dale Beaver Point A. Griffith Lumber Co. |
Pub Date |
June 1926 |
Caption |
June 1926 Map A Griffith Lumber |
Search Terms |
YMCA of the Rockies Lantern, The Crags, The Columbine Lodge, The Baldpate Inn T.F. Schwartz Lumber Company Stead's Ranch Stanley Corporation Light and Power Department Stanley Hotel St. Walters Catholic Church Rocky Mountain Lodges Inc. Estes Park Chalet Moraine Lodge Loveland Heights Longs Peak Inn Lewiston Hotel Lester Hotel, The Horseshoe Inn Fall River Lodge Estes Park Golf and Country Club Elkhorn Lodge Cascade Lodge Camp Olympus Brinwood Big Thompson Hotel Berthoud Dale Beaver Point A. Griffith Lumber Co. 1920s Hotels and Lodges |
Updated |
2021-10-12 |
Date |
1926 |

